Amy Phillips
Refine Search

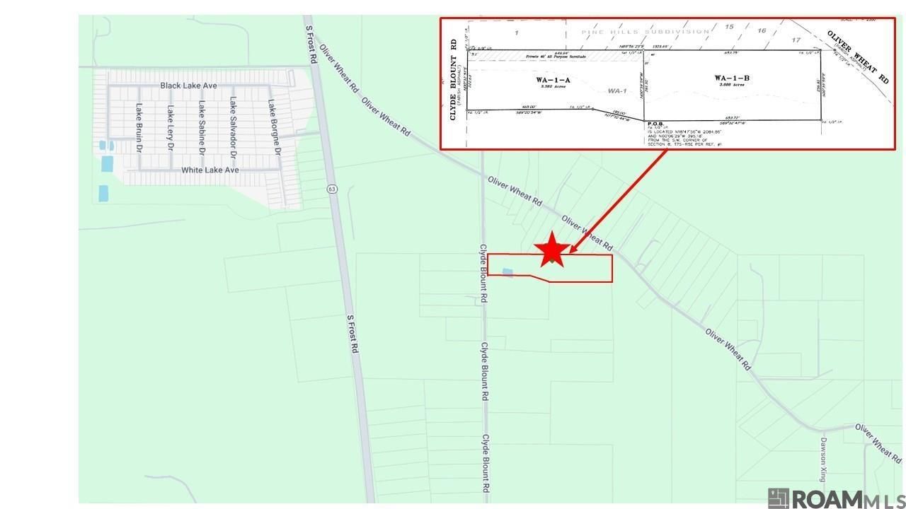
26430 Clyde Blount Rd, Livingston, LA 70754

$249,000
  • 26430 Clyde Blount Rd, Livingston, LA 70754 Main Photo

7 Total Photos [Click to View All]

Active
LOT SIZE 7.270 acres MLS#2026003178
STATUSActive PROPERTY TYPELand - Lot/Land SCHOOLLivingston Parish

Property Description

7.27 acres lot in Livingston. Lot for sale. 7.27 acres. It was subdivided into 2 lots with 3+ acres each. Front lot has a fence, gates, a barn, and the driveway. Back lot is a wooded lot. The lot is very close to the corner of Clyde Blount Road and Oliver Wheat Road (Behind the RV Park). We need to sell BOTH lots together (7.27 acres)

26430 Clyde Blount Rd | MLS# 2026003178

This land located at 26430 Clyde Blount Rd, Livingston, LA 70754 is currently listed for sale with an asking price of $249,000. The property has approximately 7.27 Acres. Clyde Blount Rd is located within the Livingston Parish school district. Search Livingston real estate on aphillips.burnsandco.com today.

Property Features

Property Type: Land - Lot/Land
Fenced: Yes
Lot Size: 7.27 Acres

Feature Descriptions

Area: No Area
Days on Site: 10
Fencing: Wood
Lot: Commons Lot
Utilities: None
Water: None

Local Schools

School District: Livingston Parish

Listed By / Shown By

Listed By

Agency Name: Homecoin.com
Agency Phone: 888-400-2513

Shown By

Agent Name: Amy Phillips
Agent Phone: (225) 620-7344
Agency Title: Burns & Co., Inc. REALTORS®

IDX logo

Estimate Your Payment

Estimated Payment

$ 626.79 per month $554.17 Principal & Interest $0.00 Property Tax (data not provided by mls) $72.63 Homeowner's Insurance

Change Payment Information

%
years/fixed
yearly
yearly (est.)
(Payments are an estimate and may vary by lender)

Login to My Homefinder

Pixel